dr-machida.com
足と靴の医学 / 整形外科医師 : 町田英一
Menu
HOME 外反母趾 巻き爪 足と靴 医家向け

2020年3月17日更新
脚長差用の靴に関する質問集
脚長差の写真

脚長差があると、どんな悪影響がありますか?
写真  歩く時に肩が左右に揺れます。立った時には骨盤が左右に傾きますから、脊柱が変形します。例えば股関節の病気で脚長差があると腰が痛む事が多く、股関節性の腰痛と呼ばれます。若い時には感じないのですが、多くは30から40歳以上になると腰痛が出始めます。短い側の下肢で立っている時につま先立ちになり指の付け根にタコができます。

 ご本人が、脚長差にまったく気づいていない事があります。姿見など大きい鏡で見て、片方の肩が下がっている場合には整形外科でレントゲン写真を撮って原因を調べてもらうようにお奨めします。

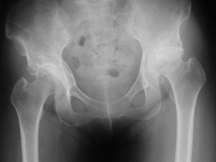
どんな病気で脚長差が出ますか?
変形性股関節症写真  このレントゲン写真は変形性股関節症で左の股関節が上に上がっています。

 赤ちゃんの時に先天性股関節脱臼があり、大人になってから変形性股関節症になり脚長差が生じている人が最も多く見られます。近年はほとんど発生していませんが、過去のポリオの後遺症として下肢が短くなっている事もあります。老人に多い股関節の大腿骨頸部骨折に対して、人工骨頭置換術やスクリューによる骨接合術の手術を行った後にも脚長差が生じる事が多くあります。交通事故などによる大腿骨の骨折による例も時々みられます。

健康保険は使えますか?
 使えますが、健康保険から給付される金額が少ないので、診断書料、手間などを計算すると、ほとんどの場合、有用ではありません。肢体不自由の身体障害者手帳を持っていると、認められる事が多く、有利な事があります。整形靴が3〜5万円以上、さらに調整代金が掛かります。

どんな靴を使って補高しますか?
靴の写真 靴の写真
 日本の普通の病院では運動靴などに補高を行います。しかし、もともと調整するために作られている整形靴の方が圧倒的に優れています。整形靴ではインソール(中敷き)が外れますから、5〜10mm位は靴の中で穂高できます。またアウトソールも交換できますから綺麗に治せます。

 この写真はドイツのバルディー(Waldi)社のフィン・コンフォート (Finn Comfort) 1000番を使って左をインソールで5mm、アウトソールで15mm補高しています。股関節が曲がり難く、紐結びが困難なのでベルクロ(マジックテープ)に変えています。長く歩いたり、走る場合には紐靴の方が機能的に有利です。

室内ではどうしたら良いですか?
写真  室内でも必ず補高をする事をお奨めします。サンダル型の整形靴を用いれば綺麗に出来ます。この写真は右を20mm補高して、さらにインソールの踵を5mm上げています。室内の仕事など行う場合には踵付きのサンダルの方が適しています。


大きな脚長差(15cm)がありますが補高できますか?
写真  大きな脚長差がある場合には靴の中に入れる靴、「イン・シュー」を作ります。この写真は足にギプスを巻いて作ったイン・シューのラスト(木型)です。

 
スポーツ・シューズで補高できますか?
写真  スポーツ・シューズ型の整形靴を使うと綺麗に出来ます。この写真はスイスのクンツリー社のスポーツ・シューズを用いて右足をインソールで5mm、アウトソールで20mm補高しています。

冠婚葬祭用の靴で補高できますか?
写真  整形靴を用いれば、お洒落靴でも、この写真の様に綺麗に作る事が出来ます。ハイヒールはパーティー会場だけにして、短い時間だけ履く事をお奨めします。

 お洒落靴に関する補正は、病院では行いません。 シュリット社・アルカなどの靴店に御依頼ください。

軽い補高靴はできますか?
写真
写真

 専用の材料を使い出来るだけ重くならないように作ります。50mmの補高で、元の整形靴が380gから520gと140gの増加に押さえられています。
ホームに戻る  / 次のページは足のしびれは....